Terreno Edificabile in vendita a Montopoli In Val D'arno

Rif. 1242

Montopoli Val d'Arno (PI): vendesi terreno edificabile con possibilità di frazionamento.
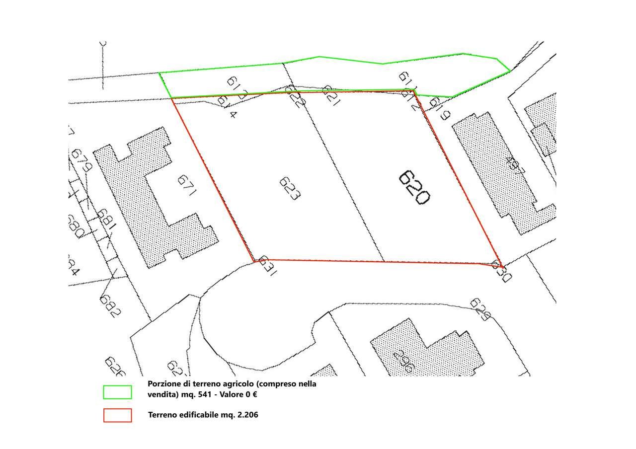
L'appezzamento suddiviso con due superficie edificabile di mq. 2.203 effettivi oltre a 541 mq. agricoli.
Esiste un progetto già approvato con la possibilità di costruire 16 appartamenti indipendenti, la seconda alternativa sarebbe quella di poter suddividere l'intero complesso in 4 appezzamenti da 550 mq. cadauno per la realizzazione di villette unifamiliari o bifamiliari per ogni lotto elevate a due piani fuori terra di mq. 90/100 circa a piano oltre giardino circostante, sottotetto mansardato in parte, con possibilità di box interrato.
Il terreno, si trova in zona panoramica a 4 chilometri dalla superstrada FI.PI.LI (uscita Montopoli Val. d'Arno) ad un chilometro dal paese di Montopoli ed a due dalla frazione di Capanne. L'area è residenziale-commerciale con abitazioni, negozi e servizi di vicinato e priva di attività inquinanti o rumorose.
Pisa e Firenze raggiungibili agevolmente con la superstrada FIPILI si trovano rispettivamente a 45 e 50 chilometri da tale luogo.
Riferimento annuncio 1242, richiesta euro 310.000,00 trattabili.
Per informazioni e visite telefonare ai seguenti numeri 3355343529 0396363799 oppure visitare il nostro sito www.immobiliareitalinvest.it INDIRIZZI NOSTRI UFFICI: Monza (MB) Via Don Luigi Sturzo, 7 Cecina (LI) via S. Venier 5. L' Agenzia Immobiliare Italinvest mira ad assicurare alla propria clientela sicurezza nel vendere, tranquillità e trasparenza nell' acquistare. Vi accompagnerà attraverso tutte le fasi della compravendita e gestione immobiliare, offrendoVi un pacchetto di servizi professionale quali: Servizio fotografico, Analisi dei documenti e stima del valore dell'immobile - Promozione dell'immobile sul mercato attraverso portali immobiliari - Visita all'immobile e consegna di materiale tecnico - Accertamenti urbanistici, catastali e ipotecari sull'immobile - Proposta di acquisto e/o contratto preliminare di compravendita e relativa registrazione ai sensi di Legge - Coordinamento dei professionisti che dovessero partecipare al buon esito della compravendita (tecnici, notai e commercialisti) - Consegna di tutti i documenti necessari per la stipula del rogito notarile al notaio di fiducia dell'acquirente. Presenza al rogito notarile.
CLASSE ENERGETICA:

Richiesta: 310.000

Galleria fotografica

Clicca sulle foto per vederle ingrandite
Richiesta informazioni